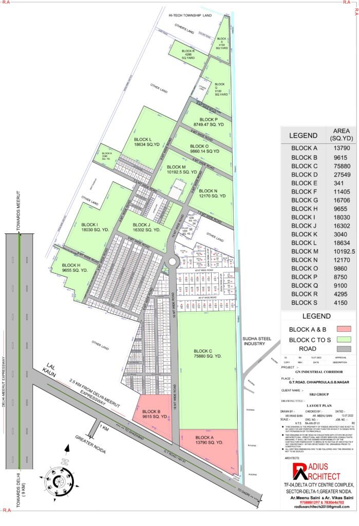
DWARKA GREEN CITY

Dwarka Green City Independent residences, unlike societies and flats, respect privacy. You get exclusive access to all of the facilities. Private terraces, gardens, pools, and other amenities are available. Although an independent house may not have all of the conveniences of a housing society, you can still enjoy the pleasure of choosing your own life.
Type: Plot Or Independent House
Location: Khasra No. 197, 365, 370 Nh – 91 On Road Near Police Chowki Chhapraula Gautambudh Nagar U.P 203207
Price: Rs. 25000/- Per Sq. Yards

WE ARE HERE TO HELP YOU